How do I get rid of flies in my home?
Do you have a problem with flies in your home? There are lots of things you can do to eliminate this issue, even if it means getting professional help on board. Follow these top tips to a fly-free home.

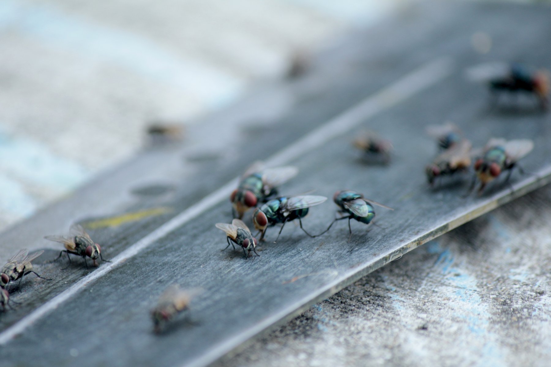
Signs of fly infestations
With flies all around us in the home, it can be difficult to know if it’s a significant issue or just the time of year when more insects appear. However, signs of a fly infestation include lots of flies found in clusters, maggots and constant buzzing.
Cluster flies are one of the most nuisance species to appear because they are the hardest to remove. You can spot this issue if you notice large numbers of black dots in one area.
Identify the type of flies in your home
All types of insects are annoying when they get inside your home, so if you have a fly problem, it’s important to identify what you’re dealing with. For example, fruit flies are smaller than house flies and usually have dark eyes.
Flies are a nuisance because they can transfer bacteria and diseases from item to item, thriving in warm and damp spaces, such as bins. Some simple changes can help to prevent fly outbreaks, including covering food, wiping up spillages and keeping bins clean. However, if you think you have a recurring fly issue, there could be something else causing it.
With around 240,000 fly species in the UK, call an expert to come and assess your fly problem, whether they’re house flies, cluster flies, bluebottles or greenbottles.
How to get rid of a fly problem
Unfortunately, flies can be very persistent, so while swatters and sprays can be effective, they won’t always work with infestations in the home. One of the easiest ways to get rid of flies from your property and banish them for good is by hiring fly control experts. They’ll come out to your property and survey the issue, identifying the species and offering you the best course of treatment.
Pest control options include fumigation, fogging and insecticides. All of these will use chemical treatments or hot vapours to get rid of your fly problem, but the right one will depend on a variety of factors. This includes how open the environment is, the type of insect issue faced and where the problem is based (e.g. how easy the flies are to reach).
Luckily, your pest control company will talk you through the most suitable services and the pros and cons of each, so it’s best to get in touch with them as soon as you can to arrange a consultation.
Speak to a pest control expert
At Effective Pest Solutions, we offer a comprehensive range of pest management services, so if you’re experiencing issues with flies or other insects in your home, just let us know. We work throughout London, Surrey and South East locations such as Balham and Caterham.
For more help and advice about achieving a fly-free home, call now on 07951 228 778 or send a message to info@effectivepestsolutions.co.uk.


